
EFE | LA PATRIA | Miami (EEUU)
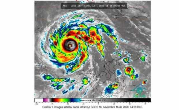
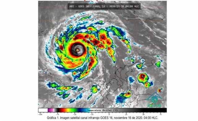
El huracán Iota ha alcanzado ya la categoría 4 y con vientos sostenidos de 225 kilómetros por hora se acerca a las costas de Centroamérica, según el último boletín emitido por el Centro Nacional de Huracanes de Miami.
En la actualización de su último boletín, a las 7:00 GMT, y con la información recogida por sus aviones de reconocimiento, el centro de huracanes estadounidense advierte que la potencia del huracán Iota ha crecido "muy rápidamente" en las últimas horas y que ya se ha convertido en "un peligroso huracán de categoría 4"
Según el centro, el viento sostenido del huracán ya es de 225 kilómetros por hora, con rachas aún más elevadas, con una presión mínima de 935 milibares.
Se considera un huracán de categoría 4 aquel que alcanza hasta los 250 kilómetros por hora, provoca una subida de la marea de hasta 5,5 metros y puede causar daños generalizados en estructuras protectoras, desplome de tejados en edificios pequeño, alta erosión de bancales y playas e inundaciones en terrenos interiores.
El huracán Iota está localizado a unos 70 kilómetros al noreste de la isla colombiana de Providencia y a unos 310 kilómetros al este del Cabo Gracias a Dios, en Nicaragua.
Informe de las 2:30am del @IDEAMColombia desde Providencia con el Alcalde del Municipio. Iota ya es huracán categoría 4. pic.twitter.com/UX5LuWSZvf
— CORALINA (@coralina_sai) November 16, 2020
El archipiélago de San Andrés y Providencia espera este lunes el embate del huracán Iota, que dejó estragos y cuantiosos daños en el norte de la Colombia continental, mientras que Centroamérica se prepara tambié, donde se espera que llegue este lunes por la noche a la Región Autónoma del Caribe Norte, en Nicaragua.
Las torrenciales lluvias causadas por el huracán Iota en el Caribe han causado desastres en varias regiones colombianas donde los afectados se cuentan por miles y las autoridades están en alerta por lo que pueda ocurrir en el archipiélago de San Andrés, que está en la ruta de ciclón tropical.
Las islas caribeñas de San Andrés y Providencia ya resultaron fuertemente afectadas la semana pasada por el huracán Eta.
COMUNICADO ESPECIAL N°134
EL HURACÁN IOTA SE MANTIENE EN CATEGORÍA 4 EN EL MAR CARIBE COLOMBIANO pic.twitter.com/PYTP6oDmrO
— Ideam Colombia (@IDEAMColombia) November 16, 2020
Radiosondeo lanzado el día de hoy en la isla de San Andrés, evidencia las condiciones adversas del estado del tiempo con lluvias y vientos fuertes que están azotando a la isla, esto debido al Huracán IOTA de categoría 4.@MinAmbienteCo @UNGRD pic.twitter.com/qjFIlEmxeI
— Ideam Colombia (@IDEAMColombia) November 16, 2020
El uso de este sitio web implica la aceptación de los Términos y Condiciones y Políticas de privacidad de LA PATRIA S.A.
Todos los Derechos Reservados D.R.A. Prohibida su reproducción total o parcial, así como su traducción a cualquier idioma sin la autorización escrita de su titular. Reproduction in whole or in part, or translation without written permission is prohibited. All rights reserved 2015